Park Regency Resort

Welcome to

Park Regency Resort

Park Regency Sharm El Sheikh Resort

Garden Bay, P.O. Box 58, Sharm El Sheikh – South Sinai, Egypt.

Coordinates in degrees decimal:  27.913888 N, 34.349444 E.

Visited in May 2023.  Photographer: Nigel and Sylviane Thomas.  Cameras: Olympus Tough T6 and Nikon Coolpix W300.

https://www.parkregency.net/

Introduction

The Park Regency Sharm El Sheikh Resort is located in Garden Bay to the east of the better known Naama Bay. The resort has a beach frontage of about 430m.  The reef is particularly interesting because it comprises of multiple isolated outcrops, extending up to 80m from shore, directly in front of the resort.  The reef gradually becomes more coherent, with a distinct vertical wall, to the northeast, extending 250m from the resort jetty. Towards the southwest the isolated reef outcrops gradually form a shallow water platform, with a vertical face at about 100m from shore, extending all the way to the headland that separates Garden Bay from Naama Bay, 500m away.   

The resort is accessed via Sharm El Sheikh international airport, which is about 15 minutes away.  The hotel is scattered over the hillside with the beach easily accessible from most rooms. 

Factors affecting snorkelling

The air temperature in the area is quite variable with average highs of 33C in July and August, although maximum highs are in the low 40s.  Mean daily lows are around 24C although nights can be below 9C in January.   Rainfall is minimal, with maximums of 44mm in December. 

The weather and water conditions that might affect snorkelling include:

  • Seawater temperatures are warm during the period June to November, getting as high as 29C, but lows of 22-23C in January and February will warrant a wetsuit. 
  • The strongest winds occur during the period May to September, with winds as strong as 12mph.  Lightest winds blow in the period November to February, with most wind below 12mph. 
  • The prevailing winds are from the NNE and N, i.e. offshore and these tend to be the strongest winds, so may chill the water but probably won’t increase wave hight.
  • The tidal range at the resort is limited to about 0.6m, so can affect how you traverse the shallow water reef areas, but is generally not a driving force for local currents. 
  • Some localised currents exist so always be aware of your safe exit point.
  • An interesting change, as the day progressed, was a reduction in visibility in the surface waters, apparently due to disturbance of the sand and silt on the beach.  This was most noticeable in the inner reef areas.
  • A clear thermocline develops during the day, with deeper waters noticeably cooler.
  • Vessel activity outside of the swimming area was limited.   

 

Ecology

The habitats that can be observed while snorkelling at the resort include: impoverished reef top, mainly directly off the beach; healthy shallow water reef top; inner reef vertical faces; offshore reef vertical faces; offshore large coral outcrops; sand and coral debris in gullies; deep water sand, small coral growth and coral debris. 

The house reef supports a high diversity of corals and fish species.  A total number of 111 species were identified during our 10 day trip, including 59 fish species and 29 hard and soft coral species.  Associated species such as echinoderms and molluscs were, however, present only in low species numbers.

Three, more or less distinct, areas can be found off the beach at the Park Regency Resort. These have been numbered 1 to 3 and relate to entry points 1 to 3. Area 1 can be easily reached from entry points 1 and 2. Area 2 can be most easily accessed from the jetty, which is entry point 2, while area 3 can be reached to its full extent from entry point 3, but can also be accessed via entry point 1.
Much of the inshore reef top is degraded but there are still areas of interest where the reef surface has numerous small coral growths as well as many holes and cavities with small but colourful fish species flitting about.
The inshore reef is separated, by several sand and coral debris gullies, from the outer reef and coral outcrops in Area 1. These gullies are good places to spot rays and possibly turtles.
Further offshore notably large coral outcrops occur, including some significant Porites growths as well as diverse patches of coral.
Area 2 is different in character, as it has a much healthier reef top, with a diverse range of fish species. The vertical wall in area 2 is also more clearly defined and although gullies exist in this area, they are less easy to access.
Interesting features of Area 2 are the periodic occurrence of small coral outcrops, partially linked to the main wall. These support particularly diverse collections of fish species and are notable for the presence of numerous cleaner stations.
Area 3 has a similar form to area 1, but the inshore reef tops have an extensive coverage of soft coral species.
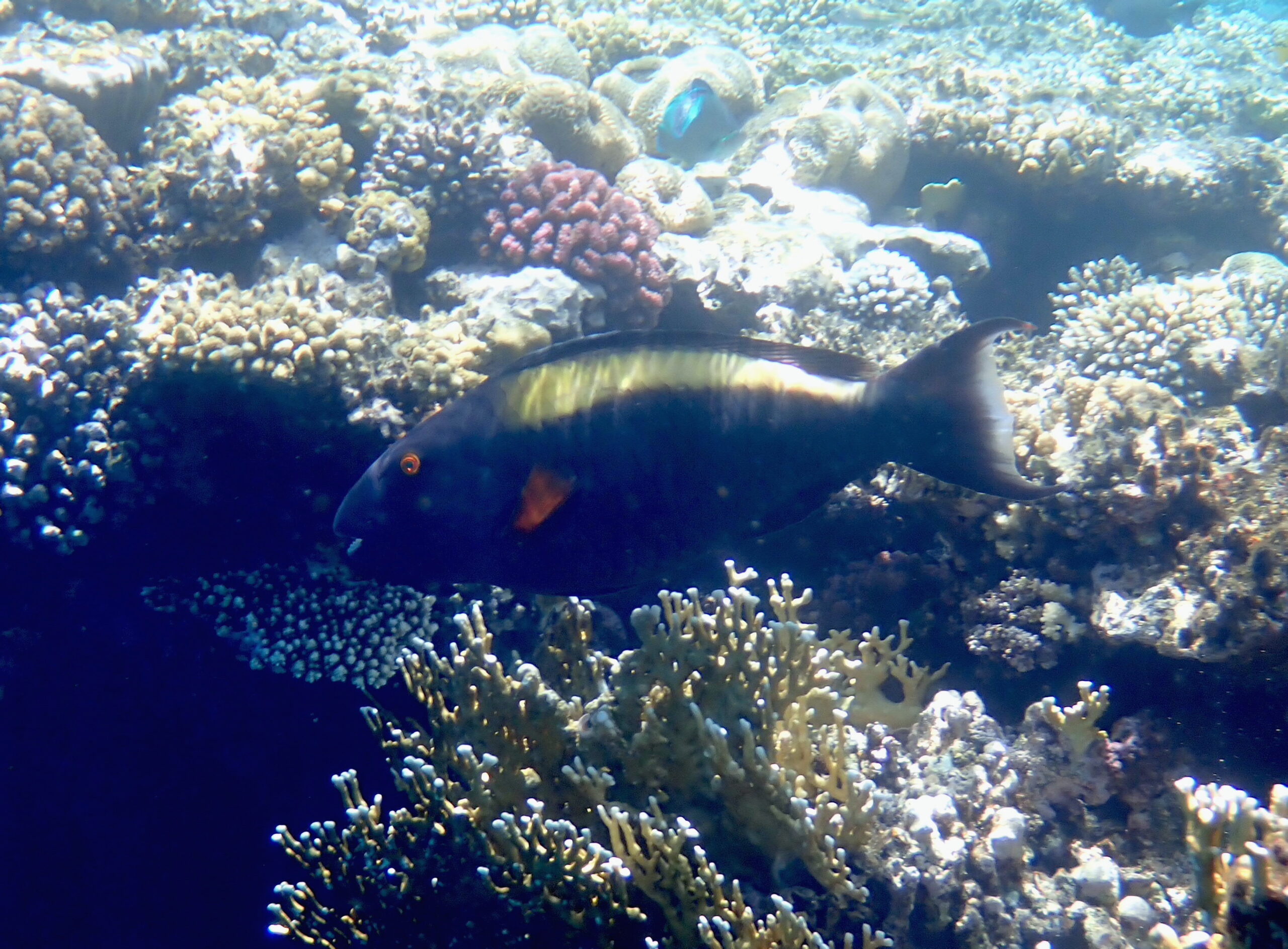
Further offshore, area 3 is similar to area 1, with massive coral outcrops off the main reef edge, which support numerous associated fish species including this splendid Sohal Surgeonfish.
Three, more or less distinct, areas can be found off the beach at the Park Regency Resort. These have been numbered 1 to 3 and relate to access points 1 to 3. Area 1 can be easily reached from access point 1 and 2. Area 2 can be most easily accessed from the jetty, which is entry point 2, while area 3 can be reached to its full extent from entry point 3, but can also be accessed via entry point 1.
Much of the inshore reef top is degraded but there are still areas of interest where the reef surface has numerous small coral growths as well as many holes and cavities with colourful small fish species flitting about.
The inshore reef is separated, by several sand and coral debris gullies, from the outer reef and coral outcrops in Area 1. These gullies are good places to spot rays and possibly turtles.
Further offshore notable large coral outcrops occur, including some significant Porites growths as well as diverse patches of coral.
Area 2 is different in character as it has a much healthier reef top, with a diverse range of fish species. The vertical wall in area 2 is also more clearly defined and although gullies exist in this area, they are less easy to access.
Notable features of Area 2 are the periodic occurrence of small coral outcrops, partially linked to the main wall. These support particularly diverse collections of fish species and are notable for the presence of numerous cleaner stations.
Area 3 has a similar form to area 1, but the inshore reef tops support an extensive coverage by soft coral species.
Further offshore, area 3 is similar to area 1, with massive coral outcrops off the main reef edge with numerous associated fish species including this splendid Sohal Surgeonfish.

Resort Life Photos

Would you like us to add your photos?